: : : : : : :  
Smith's fractures

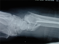
The Smith's fracture is a fracture sustained from a fall on a bent wrist. Instead of the broken bone being shortened, radially deviated and dorsally angulated as in a Colles fracture the Smith's fracture is shortened, ulnarly deviated (towards the little finger), and volarly deviated (towards the palm).


This is an unstable fracture and although can be treated with conservative means in a Smith's Plaster (a cast extending above the elbow with the wrist bent backwards), the fractures tend to displace and most people now operate on these.

Very similar to the volar plate for the Colles fracture but in this instance the plate is actually used as a buttress to prevent further movement of the fracture.

Volar or Dorsal Barton's fracture

These fractures are partial intra-articular fractures i.e. fractures that go into the joint. By definition they are less unstable and much more likely to need some form of operation to fix and hold the fractures. These fractures are like big chip fractures and the dorsal Barton's fracture come off the back of the wrist and the volar Barton's fracture comes off the front of the wrist. Certainly with a volar Barton's fracture there are very strong ligaments that attach to the fragment and if this fragment gets displaced the rest of the carpus and hand goes with it and therefore these are called flexor fracture sub-luxations (sub-luxation is a partial dislocation). These have to be fixed with plates and generally the volar Barton is fixed with a plate from the front and dorsal Barton is fixed with a plate from the back.